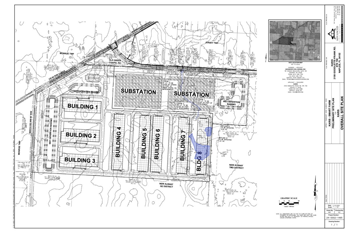
An eight-building data-center complex is proposed for the corner of Beech and Green Chapel roads at Rt. 62 near Johnstown.
Details about the proposal by the Karis Critical company – which has offices in Illinois, Florida and New Albany – came to light in a recent request the company made to the Ohio Environmental Protection Agency to bulldoze some wetlands and streams on the 114-acre site.

The wetland areas on the site add up to about two acres, and the company proposes to mitigate the destruction of those wetlands on what are currently farm fields, and it proposes at least three water-retention ponds on the property.
If approved, the Karis Critical complex would join the 194 data centers already in Ohio – including the 113 in central Ohio, according to the Data Center Map site.
Karis Critical company officials did not return email and phone requests for comment and more information about the proposed Licking County project.
“The project site consists of mostly flat topography with topographical depressions at each water feature,” the company said in its request to the EPA Division of Surface Water. “The proposed Smart Farms Data Center project is an eight (8) building, +/- 1.6M-square-foot high-density data storage and processing campus situated on approximately 114 acres of property located within the New Albany LGE zoning district.”
The company said in its request that “the project includes server halls, electrical and mechanical yards, access drives, stormwater management systems, and supporting utility infrastructure. The proposed project’s purpose is to meet the growing demand for secure, high-capacity digital infrastructure supporting regional and national transmission needs, particularly for cloud computing and artificial intelligence applications.”
A proposal by Karis Critical for a much smaller data center in the Chicago suburb of Naperville was rejected this week by the city council there after months of debate and concern expressed by residents of a nearby neighborhood.
More than 5,000 people signed a petition urging the Naperville City Council to reject the proposed 200,000-square-foot data center, according to a report by WGN-TV in Chicago. Residents cited concerns about the exhaust from diesel generators that would be used as back-up power sources for the center, as well as the noise from heating and cooling units in the facility, according to a story by The Daily Herald newspaper.
The Karis Critical website says that before creating Karis Critical, its parent company, Karis, “developed over 5 million square feet of last-mile industrial and mission-critical cold storage facilities, valued at more than $2 billion, across 10+ markets nationwide.
The website notes that Karis Critical properties are located near high-voltage power lines, and that “90% of the KARIS portfolio benefits from direct access to large-scale interstate natural gas infrastructure.”
Alan Miller writes for TheReportingProject.org, the nonprofit news organization of Denison University’s Journalism program, which is supported by generous donations from readers. Sign up for The Reporting Project newsletter here.
